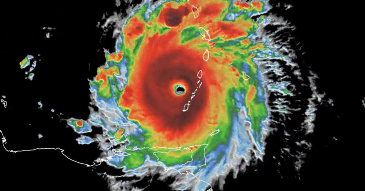
The following video is instructive—and required viewing for ALL Barbadians. The commentary explains key lessons from Hurricane Melissa, a Category 5 storm that devastated Jamaica. For Barbadians and others, it MUST serve as a wake up call. The question is not if a similar catastrophe will strike Barbados, but when.
Key takeaways noted by the blogmaster:
- Mandatory building codes — Cement roofs, proper drainage, and supporting interventions must be compulsory to create a resilient environment. Do we still rely on a DRAFT building code in Barbados?
- Food security and sovereignty — Reduce dependence on tourism and the controversial issue of beach access. Invest in farmers and local resources; unlike tourism, agriculture anchors survival in a world that is characterise as being in perpetual chaos..
- Community networks — Citizens must build support systems to withstand and recover from crises. Depending on politicians is likely to be foolhardy. It was ordinary citizens that responded quickly while the government and politicians became bogged down in bureaucratic processes trying to score political points.
- Climate justice — Treat climate change with seriousness. Integrate alternative energy options more aggressively and embed justice in adaptation. In Barbados have we solved issues associated with generating intermittent energy to supply the national grid after too many years?
- People power over politics — Citizens must leverage collective strength and bypass politicians who perpetuate polarisation and feather nest as a result of nurturing systemic corruption.
All of this should be familiar to Bajans. A word to the wise ought to be sufficient.






The blogmaster invites you to join and add value to the discussion.